Bahçelerden sonra evlerde de vampir kelebek istilası başladı

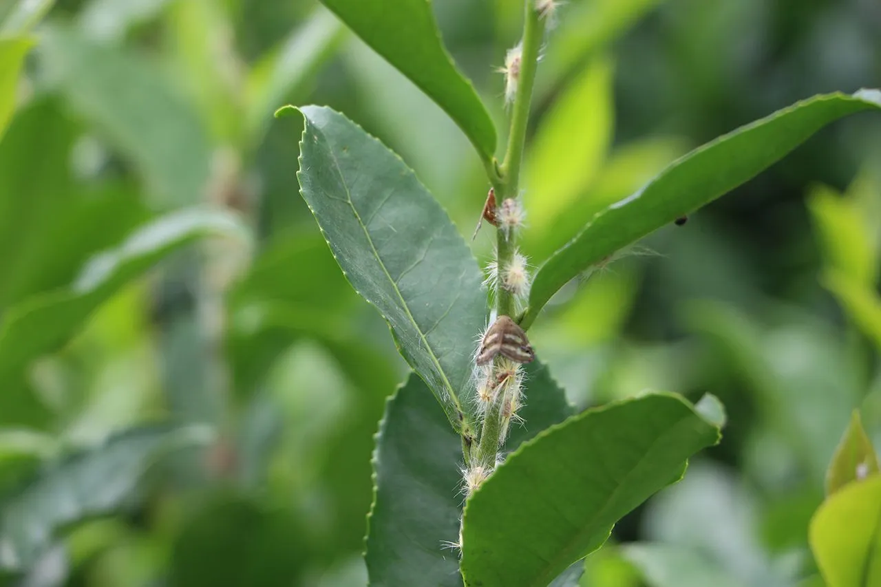
Doğu Karadeniz'de daha önce bahçelerde yeşil bitkilere verdiği zararla gündeme gelen ve bitkilerin öz sularını emdiği için 'vampir kelebek' olarak anılan Ricania Simulans isimli zararlı böcekler şimdi de evleri istila etti.

Galerinin tamamı için tıklayınız

Rize’de bitkilerin özünü emdiği için ‘vampir kelebek’ olarak adlandırılan ve çay başta olmak üzere bütün yeşil bitkilerde görülen Ricania Simulans isimli kanatlı böcekler, hayatı olumsuz etkiliyor. 

Vahşi yaşam ile insanoğlu arasındaki iletişimi anlatan film Türkiye'de gerçek oldu!