Haber3 SON DAKİKA EN ÇOK OKUNANLAR MANŞETLER FOTO GALERİ VİDEO
  • Adana
  • Adıyaman
  • Afyonkarahisar
  • Ağrı
  • Amasya
  • Ankara
  • Antalya
  • Artvin
  • Aydın
  • Balıkesir
  • Bilecik
  • Bingöl
  • Bitlis
  • Bolu
  • Burdur
  • Bursa
  • Çanakkale
  • Çankırı
  • Çorum
  • Denizli
  • Diyarbakır
  • Edirne
  • Elazığ
  • Erzincan
  • Erzurum
  • Eskişehir
  • Gaziantep
  • Giresun
  • Gümüşhane
  • Hakkari
  • Hatay
  • Isparta
  • Mersin
  • İstanbul
  • İzmir
  • Kars
  • Kastamonu
  • Kayseri
  • Kırklareli
  • Kırşehir
  • Kocaeli
  • Konya
  • Kütahya
  • Malatya
  • Manisa
  • Kahramanmaraş
  • Mardin
  • Muğla
  • Muş
  • Nevşehir
  • Niğde
  • Ordu
  • Rize
  • Sakarya
  • Samsun
  • Siirt
  • Sinop
  • Sivas
  • Tekirdağ
  • Tokat
  • Trabzon
  • Tunceli
  • Şanlıurfa
  • Uşak
  • Van
  • Yozgat
  • Zonguldak
  • Aksaray
  • Bayburt
  • Karaman
  • Kırıkkale
  • Batman
  • Şırnak
  • Bartın
  • Ardahan
  • Iğdır
  • Yalova
  • Karabük
  • Kilis
  • Osmaniye
  • Düzce
BIST 10.941
Altın 5.782
Dolar 42,52
Euro 49,65
Yaşam Haber Spor Magazin Otomobil Teknoloji Kadın Sağlık Hayvanlar Alemi
  1. Anasayfa
  2. Foto Galeriler
  3. Hayvanlar Alemi
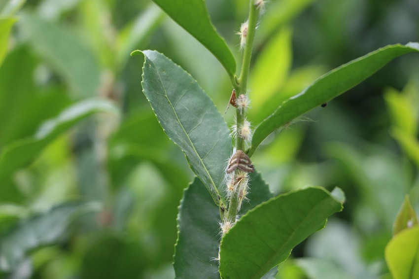
  4. ''Karadeniz'in vampiri'' geri döndü: Kafanızı nereye çevirirseniz oradalar!

Bahçelerden sonra evlerde de vampir kelebek istilası başladı

Doğu Karadeniz'de daha önce bahçelerde yeşil bitkilere verdiği zararla gündeme gelen ve bitkilerin öz sularını emdiği için 'vampir kelebek' olarak anılan Ricania Simulans isimli zararlı böcekler şimdi de evleri istila etti.

21 Ağustos 2025  Saat: 08:35 Kaynak: İHA Güncelleme: 21 Ağustos 2025 08:37
Bahçelerden sonra evlerde de vampir kelebek istilası başladı - Resim: 1

Rize’de bitkilerin özünü emdiği için ‘vampir kelebek’ olarak adlandırılan ve çay başta olmak üzere bütün yeşil bitkilerde görülen Ricania Simulans isimli kanatlı böcekler, hayatı olumsuz etkiliyor. 

1 / 7
Bahçelerden sonra evlerde de vampir kelebek istilası başladı - Resim: 2

Akşam saatlerinde ışıklı ortamlara akın eden böcekler yüzünden Rize’de yaşayan vatandaşlar balkonlarının ışıklarını açamadığı gibi sıcak yaz günlerinde camlarını da açamıyor.

2 / 7
Bahçelerden sonra evlerde de vampir kelebek istilası başladı - Resim: 3

Işığı gördüğü yere yerleşen kelebekler sabaha kadar hayatını kaybederek oldukları yere düştükleri için ise temizlikte ev hanımlarının korkulu rüyası haline geliyor.

3 / 7
Bahçelerden sonra evlerde de vampir kelebek istilası başladı - Resim: 4

Rize’nin Pazar ilçesinde yaşayan Şenay Yaşar, balkonda zaman geçiremediklerini belirterek, "Çok kelebek var. Doğa manzarası eşliğinde bir yemek yiyelim dedik, çorbamızın üstüne kelebek mi düşmedi, yemeğimize kelebek mi düşmedi. Hayatta görmediğim böceklerle karşı karşıyayız" dedi. Yaşar, soruna çözüm bulunmasını istedi.

4 / 7
Haber3
Gizlilik İlkeleri Künye İçerik Kaldırma Talebi Reklam İletişim İnsan Kaynakları

Yasal Uyarı: Sitemizdeki tüm yazı, resim ve haberlerin her hakkı saklıdır. İzinsiz, kaynak gösterilmeden kullanılması kesinlikle yasaktır.

Yazılım & Tasarım:
Bilgin Pro
Haber3
  • Anasayfa
  • Son Dakika
  • Manşetler
  • Çok Okunanlar
  • Foto Galeri
  • Yazarlar
  • Güncel
  • Ekonomi
  • Memur
  • Çalışma Hayatı
  • Otomobil / Motosiklet
  • Magazin
  • Spor
  • Dünya
  • Medya
  • Kadın
  • Sağlık
  • Teknoloji
  • Sitene Ekle
  • Hava Durumu
  • İçerik Kaldırma Talebi
  • RSS
© 2025 Haber3.com Tüm hakları saklıdır. İçeriklerin izinsiz kopyalanması yasaktır.